Antioch Council to again consider two housing projects by developer indicted for bribing councilman

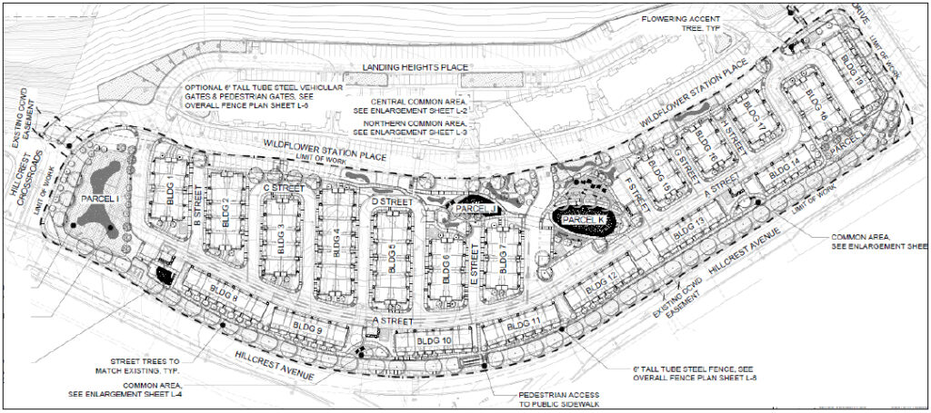
DeNova Homes proposes 129-unit Slatten Ranch Townhomes Project, next to J.C. Penney store which Freitas strongly opposes and 159-unit Wildflower Station Townhomes 2 Multifamily Residential Project on Hillcrest Avenue near Deer Valley Road
“I am furious that this is being shoved down our throats. I do not want to give up some prime property for economic development.” – District 3 Councilman Don Freitas
By Allen D. Payton
The two proposed housing projects by DeNova Homes will return for the Antioch City Council to consider during their meeting on Tuesday, Oct. 28, 2025. An indictment by the U.S. Attorney’s Office for the Northern District of California of the company’s co-founder and his vice president son for alleged bribery of an Antioch Councilman last year was announced in April.
The alleged bribe was related to a previous project in Antioch, known as Aviano, a multi-phase, 533-unit single-family home residential development in the Sand Creek area on the south side of the city.

The two developments are the proposed 129-unit Slatten Ranch Townhomes Project (#5 on the agenda), located on a 6.41-acre vacant project site north of Wicklow Way next to the J.C. Penney store, east of Slatten Ranch Road and west of Empire Avenue; and the 159-unit Wildflower Station Townhomes 2 Multifamily Residential Project (#6 on the agenda) planned for the four-parcel, 10.35 acre vacant property near the intersection of Hillcrest Avenue and Deer Valley Road and bordered by Wildflower Drive to the east and the road next to the KFC restaurant in the Hillcrest Crossroads shopping center which also serves the existing condo development.

The Council previously considered the projects during their meeting on Sept. 23, 2025, but postponed both to Tuesday’s meeting following opposition from the public and council concerns. District 3 Councilman Don Freitas offered the strongest opposition to the Slatten Ranch project which is planned for the East Lone Tree Focus Area. The 200 acres north of Hwy 4 and east of Laurel Road were set aside by the City Council in 1998 and planned for commercial and economic development for the creation of local, well-paying jobs. But the previous council rezoned a portion of the property to allow for housing.
“I have lots of problems with this particular project. It’s both a blessing and a curse,” he stated then shared that during his years as mayor from 2000-2008, “J.C. Penney’s came forward and locate on the site they eventually built on,” due to the freeway access.
“That area was envisioned as one of the most important economic development sites in the City of Antioch,” Freitas continued. “This project doesn’t belong in this space. That’s why I oppose this project.”
“While housing is critical, so is economic development,” he added. “I am furious that this is being shoved down our throats. I do not want to give up some prime property for economic development.” (See 3:01:51 mark of meeting video)
However, plans for the housing projects were submitted under SB 330, the Housing Crisis Act of 2019 (D-Skinner), which Freitas referenced, and gives development special provisions in the approval process, which, among other things, limits the total number of hearings by a local government agency.

City staff recommends that the City Council adopt the resolution approving the Vesting Tentative Subdivision Maps for both the development of the 17 Slatten Ranch Townhome and 19 Wildflower Station Townhome buildings and Design Review for the proposed architecture and landscaping for each project.
See the agenda packet.
Meeting Information
The meeting will be held in the Council Chambers at City Hall, 200 H Street, in Antioch’s historic, downtown Rivertown. They can also be viewed via livestream on the City’s website and the City’s YouTube Channel, on Comcast Cable Channel 24 or AT&T U-verse Channel 99.
the attachments to this post:
Wildflower Station Townhomes 2 Site Map


























